Tanner and Andy are students at UH Mānoa studying parrotfish feeding at Hanauma using bioacoustics and visual data surveying. Their study sounded super intriguing and exciting, especially because they are able to spend so much time in the water snorkeling and observing the parrotfish for their research!
Our visit started off with us having to get through the hectic line of tourists trying to get into the nature reserve bright at early at 8:30am! We had a debriefing from a volunteer and watched a video about how to be respectful of the bay and the living organisms that inhabit Hanauma and then, we walked down to the beach. Once we got down there, we got all of our snorkeling equipment together and prepared to get into the water. Tanner and Andy formally introduced themselves to the group and described what exactly they do with parrotfish and how they partake in research.
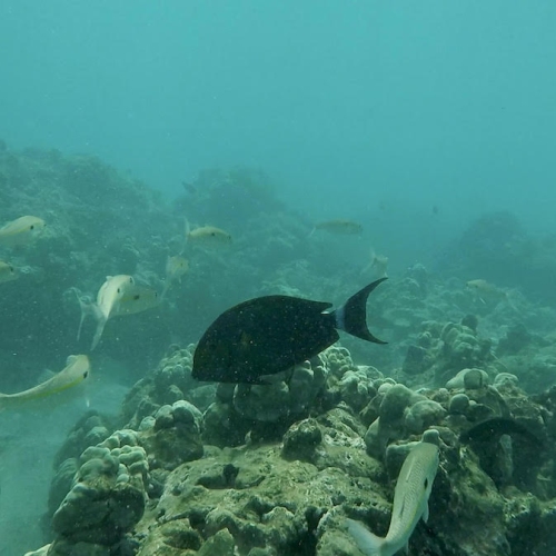
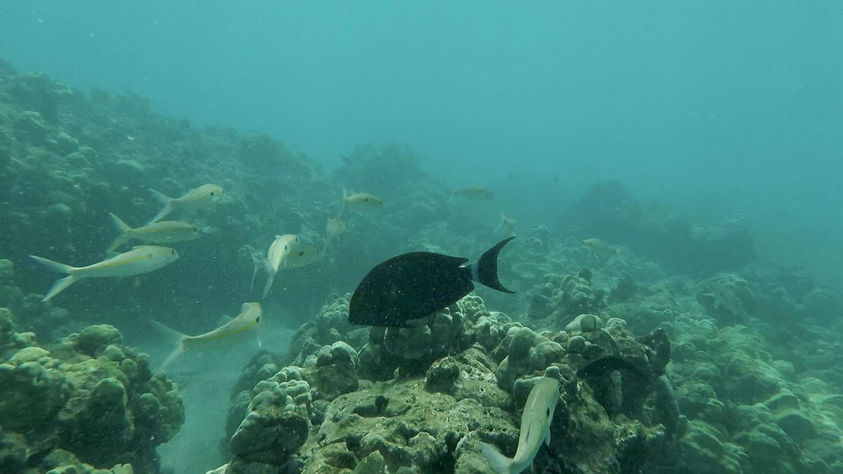
After that, we were finally able to go into the water! Tanner and Andy brought four REU members, including myself, out past these buoys where there is typically a stronger current so we were able to see reef ecosystems further away from the other tourists! The views were amazing and there was so much cool wildlife roaming around! Trumpetfish, huge parrotfish, humu (the statefish), an eel, and much more! One memorable thing that Tanner pointed out was the Hawaiian Cleaner Wrasse, which cleans and eats parasites off of other fish!
The other four members as well as Dr. Marko stayed closer to shore and explored the more shallow ecosystems, where they were able to see some parrotfish as well and a lot of confident fish swimming close to them! Later on, the group that went out deeper into the water came back to shore and met up with the others.
After about two hours, we wrapped up our time at Hanauma and said goodbye and thank you to Tanner and Andy because they stayed longer to conduct research! We ended off our short trip with Korean plate lunch as well!
It was an overall great experience and fun time to be able to spend time together and get time out in the field!









